About 1
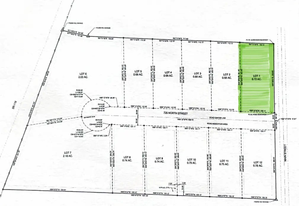
Take a look at Sevier County's newest subdivision, Cove Peak Estates. Located at the North end of Central Valley, just off Central Valley main street and borders east side of HWY 118. These lots will mirror the love that Central Valley has for country life and will follow the local rules for life style and animal rights. This subdivision will have all utilities stubbed to each lot. Cove Peak Estates is breaking ground on March 1st for roadway and utilities to be done and asphalt in by end of march, weather permitting. Property taxes have not yet been established. Buyers and agents to verify all listing information.
Features of 1
| MLS® # | 2057542 |
|---|---|
| Price | $124,900 |
| Acres | 0.72 |
| Type | Land |
| Sub-Type | Residential |
| Status | Active |
Community Information
| Address | 1 |
|---|---|
| Area | South Sevier |
| Subdivision | COVE PEAK ESTATES |
| City | Central Valley |
| County | Sevier |
| State | UT |
| Zip Code | 84754 |
Amenities
| Utilities | Gas: Not Connected, Power: Not Connected, Sewer: Septic Tank, Gas: Stubbed, Power: Stubbed |
|---|---|
| Is Waterfront | No |
| Has Pool | No |
Interior
| Fireplace | No |
|---|
Exterior
| Lot Description | Cul-De-Sac, Fenced: Part, View: Mountain, Terrain: Flat, Horse Property |
|---|
School Information
| District | Sevier |
|---|---|
| Elementary | Ashman |
| Middle | Red Hills |
| High | Richfield |
Additional Information
| Date Listed | January 9th, 2025 |
|---|---|
| Days on Market | 289 |
| Zoning | Single-Family |
| Foreclosure | No |
| Short Sale | No |
| RE / Bank Owned | No |
Listing Details
| Agent | Jeramy Johnson |
|---|---|
| Office | Red Rock Real Estate LLC (Central) |
| Contact Info | 435-201-2718 |
